欢迎进入郑州市金水区唯美口腔

郑州唯美口腔医院周年庆预约专家

郑州唯美口腔医院周年庆在线咨询

郑州唯美口腔医院周年庆免费咨询热线 0371-55019113

首页 > 郑州牙齿矫正 > 郑州龅牙 >
郑州唯美口腔医院

龅牙牙齿矫正是否需要拔牙

来源 :郑州唯美口腔医院        时间:2015-06-24 13:53 进入专家答疑区 在线咨询 | 预约专家
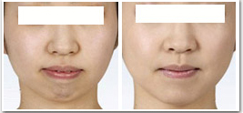
  龅牙牙齿矫正是否需要拔牙,龅牙是更为常见的一类牙颌面畸形,会给我们的形象带来很大的影响,因为牙齿就是我们的门面。形象不好对我们的交际也会造成一定的影响,因此,多数龅牙患者会选择及时的矫正牙齿。那么,龅牙牙齿矫正是否需要拔牙?针对这个问题,通过以下我们来进行详细的了解。
龅牙牙齿矫正是否需要拔牙
 
  郑州龅牙矫正郑州唯美口腔专家介绍,龅牙的主要表现形式是:上颌前突畸形或双颌前突畸形,通俗来说就是上排牙出现前突现象,或者上下牙排出现前突现象。龅牙形成一是因为家族遗传因素,二是因为后天的不良习惯。
 
  龅牙矫正是否需要拔牙和选择的矫正方法有很大的关系。如果您选择的是牙齿正畸(戴牙套),也许会需要拔牙,医生会根据个人牙齿的具体情况而定。拔除牙齿是为了提供足够的空隙来排齐牙齿,牙齿存在严重拥挤时,如不拔牙而勉强排齐,则矫治效果很不稳定,即使排齐了牙列,也容易复发成原来的畸形。但是如果选择一些先进的牙齿矫正技术也可以在不拔牙的基础上有很好的矫正牙齿的效果。
 
  同时,如果患有严重的龋齿,这种情况也是需要拔牙的。因为如果患有严重的龋齿,通过正常治疗手段,依然无法达到治愈效果的,就需要拔除牙齿,以避免在牙齿矫正中,导致龋齿脱落,从而影响整个矫正疗程。
 
  【龅牙牙齿矫正技术推荐--美容冠】
 
  郑州唯美口腔采用的3D美容冠打破了过去拔牙、磨牙、取模、刻腊、烧瓷等传统程序,运用计算机辅助设计和制作,一次性完成备牙、光学取模、设计、研磨、试戴、安装等全部程序,整个过程仅需一个小时,真正实现“立等可戴”的神话,是专门制作美容修复牙齿的精美全瓷修复体的高精密度仪器。美牙冠矫正牙齿不需要戴牙套,矫正效果明显,治疗时间短。推荐阅读:郑州哪家医院矫正龅牙好
 
  龅牙牙齿矫正是否需要拔牙?以上就是郑州口腔医院郑州唯美口腔专家的介绍,如果您还有什么疑问或者想对郑州唯美口腔做个详细的了解,欢迎点击网站在线咨询,在郑州唯美口腔,我们为您提供更专业的技术,更周到的服务。
 

浏览本篇文章的网友

27%
选择了:郑州唯美口腔医院
在线医师坐诊,快速悉知病情!
39%
选择了:郑州唯美口腔医院
在线医师坐诊,快速悉知病情!
分享到:郑州唯美口腔医院
郑州唯美口腔医院

扫一扫
把郑州唯美
加为好友

郑州唯美口腔医院

相关感兴趣文章

造成龅牙的因素有哪些

造成龅牙的因素有哪些

刷牙时不方便,面部发育不异常,饮食时咬合食物困难,这些都是龅牙患者经常要面临的问...[详情]

儿童牙齿畸形该如何预防

儿童牙齿畸形该如何预防

儿童牙齿畸形该如何预防 ?牙齿的畸形,一般都是从儿童时期就有征兆,而此时由于孩子还...[详情]

成人龅牙矫正多少钱

成人龅牙矫正多少钱

成人龅牙矫正多少钱? 龅牙是很多人的梦魔,尤其是成人,由于成人面临着工作,恋爱,交...[详情]

成人龅牙矫正费用

成人龅牙矫正费用

成人龅牙矫正费用是多少? 成人龅牙使很多成人羞于开口,笑容也渐渐的消失,而且龅牙是...[详情]

唯美品牌
郑州唯美口腔医院
  • 时间:10月20日
  • 摘要:唯美口腔加入郑州人民医院医疗集团
  • 地点:郑州唯美口腔
  • 详情 → 咨询 →
郑州唯美口腔医院
  • 时间:每周一、周五亲诊
  • 摘要:矫正专家亲诊
  • 地点:郑州唯美口腔
  • 详情 → 咨询 →
特邀专家

有牙齿困扰 在线找专家

专家热线:0371-55019113

专家团队
精彩专题
> 微创即刻种植牙
> 隐适美隐形矫正
> 360°彩光美白
> 超薄牙贴面
> 3D全瓷牙

豫公网安备 41010502002633号

免责声明:本网站近期将进行改版,网站所有内容及图片不做为任何法律依据。如有违反或者侵权,请及时联系更改。

网站医疗信息仅供参考,不能作为诊断及医疗依据 本网站内容部分来源转载于网络,不能作为任何法律依据!

请注意时效性,望知悉。如有违反或者侵权,请及时联系更正。